Thông tin chi tiết

Thông tin chi tiết

Banner Images
Banner Images
Banner Images
Banner Images
Banner Images
Banner Images
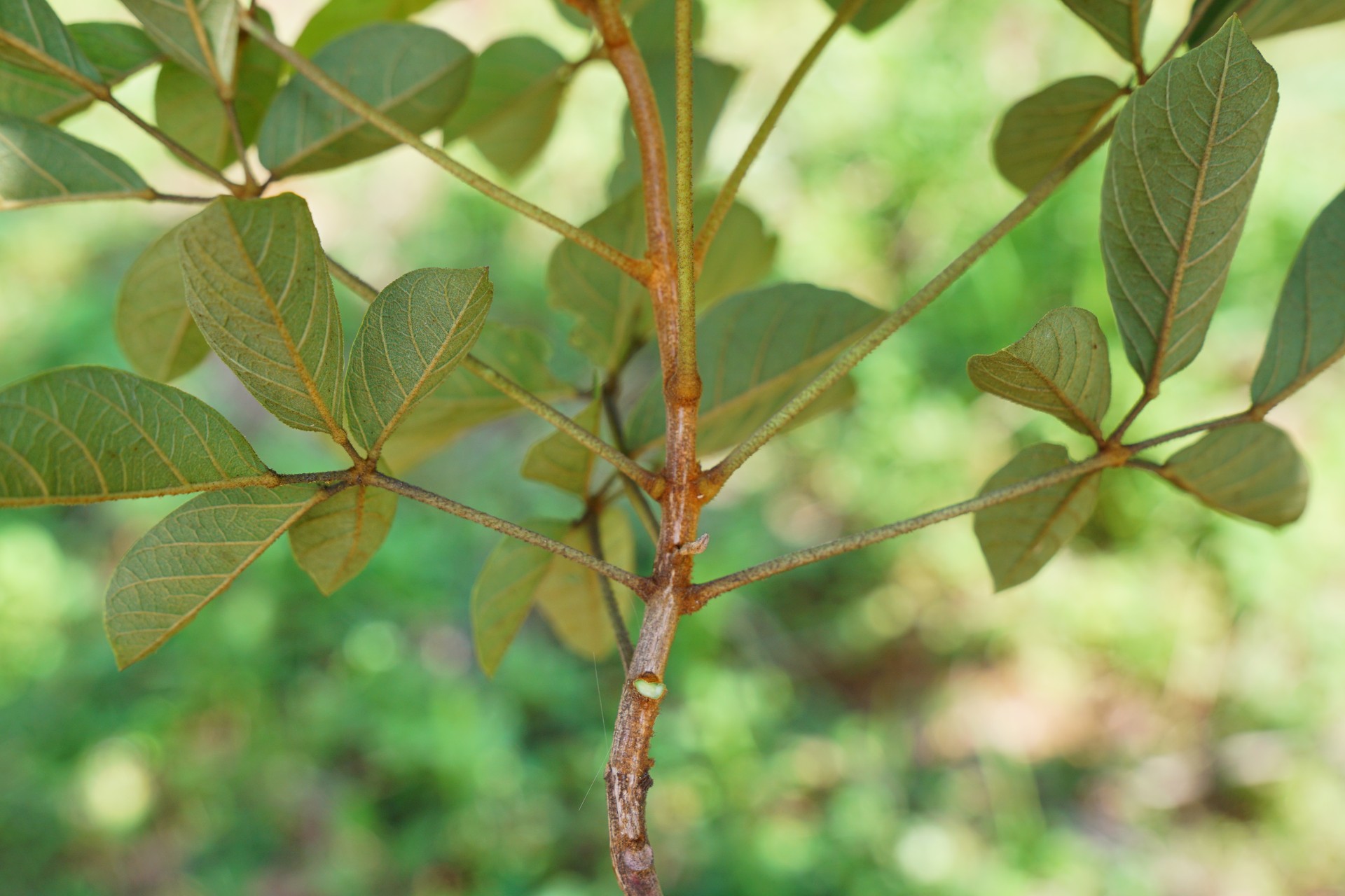
Chuông vàng Brazil
Handroanthus chrysotrichus (Mart. ex DC.) Standl.
  • Ngành La Tinh TRACHEOPHYTA
  • Ngành Việt Nam: THỰC VẬT CÓ MẠCH
  • Lớp La Tinh: MAGNOLIOPSIDA
  • Lớp Việt Nam: HAI LÁ MẦM
  • Bộ La Tinh: SCROPHULARIALES
  • Bộ Việt Nam: HOA MÕM SÓI
  • Họ La Tinh: Bignoniaceae
  • Họ Việt Nam: Đinh

Trợ lý ảo

Luôn sẵn sàng hỗ trợ bạn

Thông tin chung
Thực vật
Động vật
Xin chào! Tôi là trợ lý ảo hỗ trợ tra cứu thông tin về Vườn Hữu Nghị ASEAN - Hàn Quốc. Bạn có thể hỏi về AFoCO, Trường Đại học Lâm nghiệp, Dự án Vườn Hữu Nghị và các thông tin liên quan.
Bây giờ